Tropical Cyclone Maila forms, may impact Queensland

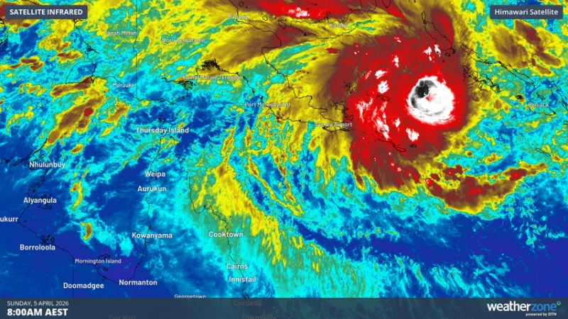
Tropical Cyclone Maila has developed in the Coral Sea, with forecasts indicating a potential track towards the Queensland coast.

Tropical Cyclone Maila forms, may impact Queensland

Image: weatherzone.com.au

Tropical Cyclone Maila has formed in the Coral Sea, with the Australian Bureau of Meteorology (BoM) monitoring its development. As of 5 April 2026, the system is located to the east of the Queensland coast and is expected to intensify over the coming days.

Forecast models indicate a potential track towards the Queensland coast, though significant uncertainty remains regarding its precise path and intensity. The BoM has advised communities in Far North Queensland to monitor official warnings and prepare for possible severe weather conditions later this week.

The 2025-26 Australian cyclone season has seen several significant systems, including Severe Tropical Cyclone Narelle which impacted northern regions in March. Authorities are urging residents to review their cyclone plans and stay informed through the Bureau's official channels.

πŸ“° Source:
weatherzone.com.au β†’
Share: